Description
Product details
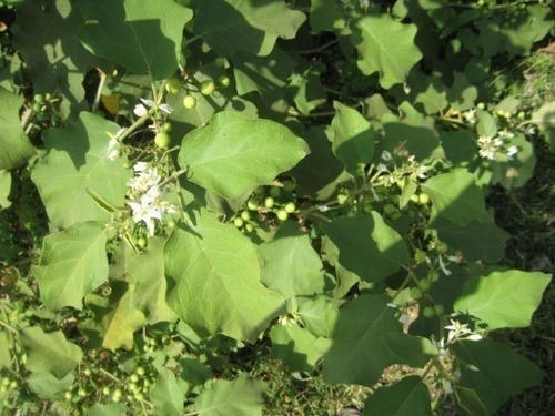
Roots of Solanum torvum Plant are extensively used in Dashamul combination. The Solanum torvum Plant is grown in moderate climate, generally tropical or subtropical environment. Details: It is used as an antiarthritic plant,it is used as an appetiser in folk medicine.It is used in combinations to control insulin production.Used in dried powder form in sore throat, in asthama and respiratory problems Botanical Name: Solanum melongena Linn Local Name: Bruhati Family: Solanaceae Uses: Seeds, roots are used in arthritis




